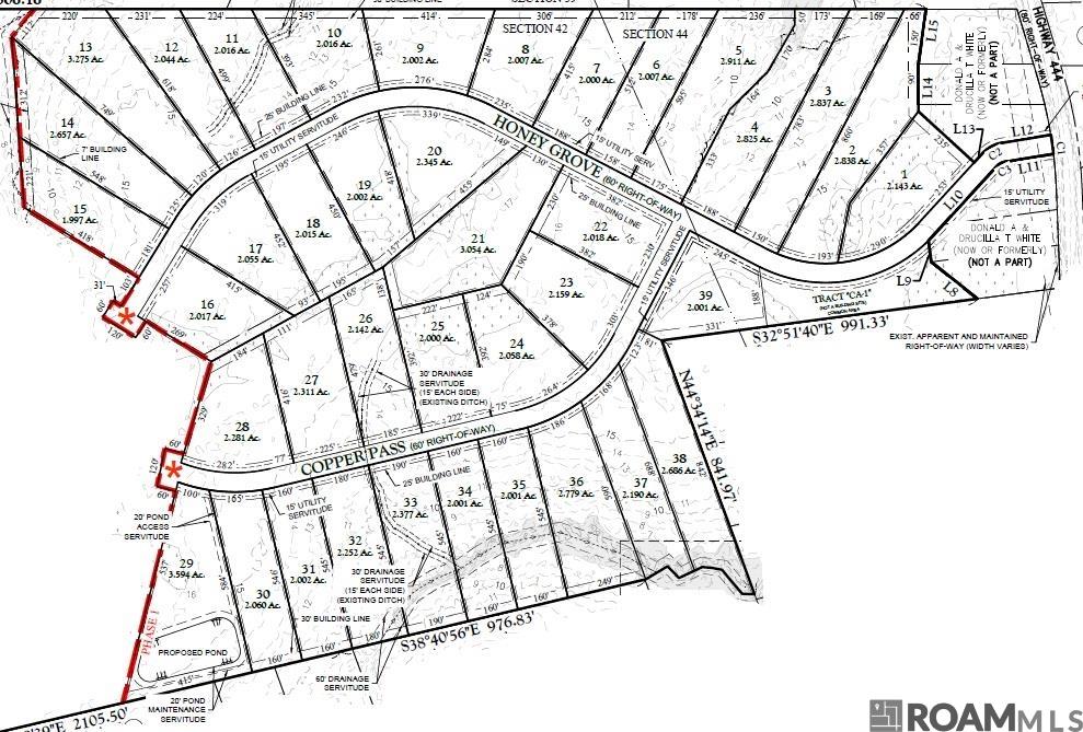
Lot 16 Honey Grove

Livingston, LA, 70754
ACTIVE
$123,400Price

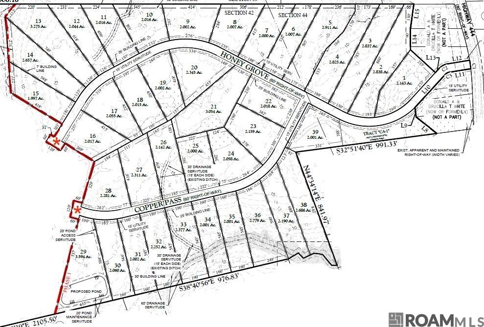
Lot 16 Honey Grove

Livingston, LA, 70754
ACTIVE
$123,400Price

Get in touch

Let’s grab a coffee some time
Send
Submitting
Succes! Your message was sent!
Oops! Error occurred.